Share

A cicada emergence, laurel wilt spread, heirs' property ownership, winter tree ID, and MANY exciting forestry events coming soon are all topics to find in this month's newsletter.
 ‌ ‌ ‌ ‌ ‌ ‌ ‌ ‌ ‌ ‌ ‌ ‌ ‌ ‌ ‌ ‌ ‌ ‌ ‌ ‌ ‌ ‌ ‌ ‌ ‌ ‌ ‌ ‌ ‌ ‌ ‌ ‌ ‌ ‌ ‌ ‌ ‌ ‌ ‌ ‌ ‌ ‌ ‌ ‌ ‌ ‌ ‌ ‌ ‌ ‌ ‌ ‌ ‌ ‌ ‌ ‌ ‌ ‌ ‌ ‌ ‌ ‌ ‌ ‌ ‌ ‌ ‌ ‌ ‌ ‌ ‌ ‌ ‌ ‌ ‌ ‌ ‌ ‌ ‌ ‌ ‌ ‌ ‌ ‌ ‌ ‌ ‌ ‌ ‌ ‌ ‌ ‌ ‌ ‌ ‌ ‌ ‌ ‌ ‌ ‌ ‌ ‌ ‌ ‌ ‌ ‌ ‌ ‌ ‌ ‌ ‌ ‌ ‌ ‌ ‌ ‌ ‌ ‌ ‌ ‌ ‌ ‌ ‌ ‌ ‌ ‌
 
Facebook
 
Twitter
 
Linkedin
 
Website
 
Email
 
FORESTRY

Woodland Owners Notes eNewsletter

April 2024
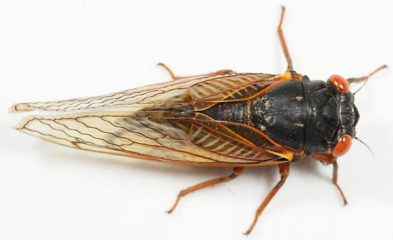
What To Know About the Cicada Emergence This Year

The double brooding of cicadas this year (the first time this has happened in 200 years) has had quite the buzz in the news lately. However, only one of the broods, Brood XIX, will emerge in North Carolina, residing mostly in western and west central NC around May 2024. These periodical cicadas are only found in the world in the eastern United States. Pretty cool! Their noise may be a nuisance but contrary to popular belief, these cicadas will mostly benefit the ecosystem and create little damage for most trees. However, smaller woody plants and ornamentals may see negative effects from feeding.

Learn More »

Photo from Bugguide.net, Copyright © 2011 Cotinis
Laurel Wilt Found in Pitt County, NC for the First Time

The N.C. Forest Service has confirmed that laurel wilt, a devastating disease of redbay and other plants in the laurel family, has been identified on private property in southern Pitt County near the Neuse River and Craven County line. Laurel wilt was previously detected in the same area in 2022 on the Craven County side of the line.

Learn More »
Heirs' Property Ownership

“Heirs’ property,” is land held in common by the descendants (or heirs) of someone who died without a will, or whose estate was not offered for probate. While some co-owners may enjoy the flexibility of heirs’ property and the sense of community it fosters, the title to such property is usually confusing. There are several disadvantages to retaining land under an unclear title. Holding land as heirs’ property is one of the leading causes of land loss among African Americans. It is important to be aware of the risks involved in owning heirs’ property, to know your rights as a landowner, and to take the proper steps to protect your land.

Learn More »
Joseph O'Brien, USDA Forest Service, Bugwood.org
Identifying Trees in the Winter

"The blend of identification and information about the importance of the different species was exactly why Kathy Snider had come." Recently, Area Specialized Agent, Nathan Gatlin, invited the public to a winter tree identification program in Wilkes County. Tree ID, a valuable skill for any forest lover, can be difficult in the winter due to the lack of greenery that makes trees harder to recognize. Read about this program and find tips for identifying trees in the winter!

Learn More »
Coming Events of Interest to Woodland Owners

April 10th, 2024 (W), 9 AM - 3 PM ET, Heirs Property Summit (Caswell County).
Attend our hands-on, practical workshop about heirs property in Yanceyville, NC! Learn about the origin and history of heirs property and estate planning and legal strategies to secure their land. Come to connect with resources and other technical assistance including some potential opportunities to listen from a panel who are dealing with heir’s issues. Registration is free and open to all in surrounding counties. Get more information with the NC A&T Heirs Property Summit page. Register now using the April sign-up form.

April 17th & 24th, 2024 (W), 2 - 4:30 PM ET, Two-Day Project Learning Tree Explore Your Environment Workshop at Brevard College. Join college environmental students, K-8 classroom, and nonformal educators at this PLT workshop at Brevard College as we explore activities in the Project Learning Tree Explore Your Environment K-8 Activity Guide. Every participant will leave the workshop with a copy of this guide that includes 50 hands-on, multidisciplinary activities to connect children to nature and increase young people’s awareness and knowledge about their environment. Register for $20 by April 10th at 5 PM. Get more information and register on the PLT Brevard event page.

April 18th, 2024 (Th), 12 - 1 PM ET, NC Tree Farm Webinar: Domestic and Global Hardwood Market Update Webinar. The COVID pandemic impacted markets for U.S. hardwood lumber in unprecedented ways, and its aftereffects have led to a global slowdown in hardwood markets. This presentation will look at current hardwood market conditions, what led to them, and how they compare to the impacts of the Great Recession over a decade ago. Get more information and register on the Forestry Webinars event page.

April 18th, 2024 (Th), 6 - 8 PM ET, 2024 Edgecombe County Forestry Banquet. Join for a meal and educational topics on Forestry in Edgecombe County at the 2024 Forestry Banquet. Topics include prescribed fire, CSP, present use value, and history and information on the new mill. Get more information and register in advance on the Eventbrite registration page

April 20th, 2024 (Sat), 10 AM - 3 PM ET, Party for the Pine.
Join the celebration for the oldest known living longleaf pine, learn how prescribed fire keeps the longleaf forest healthy, and appreciate the natural beauty of the Sandhills of North Carolina! This festival is free to attend and open to everyone. Learn more on the Friends of Weymouth Woods website.

April 22nd, 2024 (Mon), Earth Day. Celebrate Earth Day! Find an Earth Day event near you with this list of Earth Day events.

April 24th & 25th, 2024 (W & Th), 1 PM ET, Succession Planning: A Guide to Farm/Forestland Succession Planning. This webinar is a two-part series. Extension professionals will guide landowners through a succession planning template that will assist them in developing a succession plan to keep land in the family. Get more information and register for both parts on the Sustainable Forestry and Land Retention Project event page.

April 26th, 2024 (Fri), Arbor Day. Celebrate Arbor Day! Find an Arbor Day event near you with this list of Arbor Day events.

May 4th, 2024 (Sat), 9 AM - 3:30 PM ET, Trees and Me! Project Learning Tree Early Childhood Workshop in Union County. Join other early childhood classroom and nonformal educators as we explore activities in the newly released Project Learning Tree Trees and Me: Activities for Exploring Nature with Young Children activity guide. Every participant will leave the workshop with a copy of the guide! Register for $20 by April 26th at 5 PM. Get more information and register on the PLT Union event page.

May 4th, 2024 (Sat), 9 AM - 4 PM ET, Project Learning Tree K-12 Workshop: Climate Change Focus at the North Carolina Arboretum. Join classroom and nonformal educators in Asheville, NC as we explore climate-related activities in Project Learning Tree's Explore Your Environment K-8 Activity Guide and the secondary module Southeastern Forests and Climate Change. Participants will also receive access to PLT's Carbon & Climate E-Unit. This workshop is geared towards educators working with middle and high school students, but is open to anyone that is interested in the subject and materials. Register for $20 by April 26th at 5 PM. Get more information and register on the PLT Arboretum event page.

May 8th, 2024 (W), 9 AM - 3 PM ET, Heirs Property Summit (Robeson County). Attend our hands-on, practical workshop about heirs property in Lumberton, NC! Learn about the origin and history of heirs property and estate planning and legal strategies to secure their land. Come to connect with resources and other technical assistance including some potential opportunities to listen from a panel who are dealing with heirs issues. Registration is free and open to all in surrounding counties. Get more information with the NC A&T Heirs Property Summit page. Register now using the May sign-up form.

May 21st, 2024 (Tu), 9 AM - 4 PM ET, Project Learning Tree Explore Your Environment Workshop at Allison Woods Outdoor Learning Center. Join classroom and nonformal educators in Statesville, NC as we explore activities in the Project Learning Tree Explore Your Environment K-8 Activity Guide. Every participant will leave the workshop with a copy of this guide that includes 50 hands-on, multidisciplinary activities to connect children to nature and increase young people’s awareness and knowledge about their environment. Register for $20 by May 15th at 5 PM. Get more information and register on the PLT Allison Woods event page.


Webinars & Online Learning

Forestry Webinars on Demand Webinars are a great opportunity to learn about different forestry topics from experts in the field. We have collaborated with professionals from a variety of backgrounds, including forestry, economics, law, and more to bring you relevant topics at home.

ForestryWebinars.net You can find more than 700 archived webinars on a variety of forestry topics.

NC Tree Farm Program Online Learning Learn about a variety of forestry topics through webinars, videos, and online courses.

eLearn: Urban Forestry This self-paced, online course provides an introduction to urban forest management.

eFire This interactive site allows you to choose your own eFIRE experience! Become virtually immersed in a prescribed burn, learn why and how burns are conducted, read the provided resources, and/or hear from the multiple types of people who use prescribed fire as a land management tool!

Introduction to Southeastern Prescribed Fire This course is designed to introduce students to the fundamental basics of prescribed burning in Southeastern forested ecosystems.

Woodland Stewardship YouTube Channel This channel features webinars and other forestry-related videos.

Southern Fire Exchange YouTube Channel The Southern Fire Exchange (SFE) is a regional program for fire science delivery in the Southeast, funded by the Joint Fire Science Program.

Forest Farming YouTube Channel This channel features videos on medicinal herbs and other crops that can be cultivated under the forest canopy.
Woodland Owner Notes E-news is a monthly email newsletter from Extension Forestry at NC State University. This newsletter is made possible through support from the Renewable Resources Extension Act and the National Institute of Food and Agriculture. The 2024 editors are:

Robert Bardon, NC State University, Extension Forestry, Raleigh, NC
Jim Hamilton, NC Cooperative Extension Service, Boone, NC
Alton Perry, Roanoke Electric Cooperative, Rich Square, NC
Colby Lambert, NC Cooperative Extension, Lillington, NC
Jennifer Fawcett, NC State University, Extension Forestry, Raleigh, NC
Nathan Gatlin, NC Cooperative Extension, Wilkesboro, NC
Jameson Boone, NC State University, Extension Forestry, Raleigh, NC


Send Comments and Suggestions to the Editor, at NC State University, Email: extension_forestry@ncsu.edu.
If you received this email as a forwarded message, and like what you see, please add yourself to our mailing list by subscribing below.
NC State University promotes equal opportunity and prohibits discrimination and harassment based upon one’s race; color; religion (including belief and non-belief); sex, including but not limited to pregnancy, childbirth, or other related medical condition, parenting, and sexual harassment; sexual orientation; actual or perceived gender identity; age; national origin; disability; veteran status; or genetic information.
 
 
NC State University and N.C. A&T State University work in tandem, along with federal, state and local governments, to form a strategic partnership called N.C. Cooperative Extension.
Facebook
 
Twitter

Email Marketing by ActiveCampaign